Hoe Almere in de tachtiger jaren de Floriade wilde binnenhalen

Morgen gaat de Floriade 2022 van start. Wat niet veel mensen weten is dat Almere al meer dan 40 jaar geleden probeerde de Floriade binnen te halen. Dit blijkt uit een dossier uit 1982 dat we vonden in ons archief. Als locatie voor de Floriade van 1992 viel de keuze op Pampushout, het grote groengebied aan de westkant van Almere. Deze schets uit het rapport Floriade in Almere uit 1982 kozen we als Foto van de Maand van april 2022, een serie waarin we je meenemen door de geschiedenis van Almere.
Wil je meer weten over deze voorgeschiedenis van de Floriade? Lees dan onderstaande artikel Vastberaden op weg naar de Floriade, een bijdrage van Theo Lagarde, vrijwilliger bij Stadsarchief Almere en in de jaren zeventig werkzaam bij Projektburo Almere en later bij de Gemeente. Hij dook in de archieven op zoek naar de geschiedenis van de Floriade in Almere. Hoe vroeg was Almere bezig met de Floriade? En hoe nieuw is het thema duurzaamheid en Growing Green Cities?
Wil je de documenten zelf bekijken? Ze staan in onze databank digitaalerfgoed.almere.nl, of klik op deze link om het hele dossier (in pdf) te bekijken.
Vastberaden op weg naar de Floriade
door Theo Lagarde
1. Na 40 jaar gelukt
Het kan nauwelijks iemand ontgaan zijn dat de komende week de Floriade 2022 opent. Wat veel minder mensen weten is dat Almere al meer dan 40 jaar geleden de Floriade probeerde binnen te halen. Maar de liefde was heel lang niet wederzijds.
Al in de 70er jaren ging binnen het Projektburo Almere, waar ik werkte, een lijstje rond met evenementen waar Almere zich mee kon profileren. De Olympische Spelen stonden erop en het kan niet anders of ook de Floriade was onderdeel van die lijst.
Het oudste officiële nota over een Floriade in Almere die ik in de collectie van het stadsarchief heb kunnen vinden dateert van juli 1982. Het onderzoek zit in een dossier met diverse brieven – onder andere over het Kromslootpark als mogelijke locatie – en andere documenten over het onderzoek naar Almere als vestigingsplaats voor de Floriade, allemaal stukken uit de periode 1982-1984 [klik hier om het hele dossier als pdf te bekijken].
Floriade in Almere is van de hand van Christian Zalm en Ruud van de Bosch, beiden werkzaam bij de Rijksdienst IJsselmeerpolder (RIJP). In de nota, zo’n 10 pagina’s met kaarten en een bijlage, werden kansen gezien voor de verdere ontwikkeling van Almere. De auteurs noemen diverse redenen om de Floriade naar Almere te willen halen, maar interessanter is waar die zou moeten komen en waarom. Wat overblijft van zo’n evenement wil men vaak graag hergebruiken (de legacy).
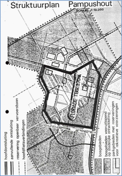
Link opent een vergroting van de afbeeldingPampushout
De keuze viel op de Pampushout, het (geplande) grote groengebied aan de westkant van Almere. De Pampushout is een onderdeel van de zogenaamde Buitenruimte, de open ruimte om de kernen. Geen restruimte, maar een integraal onderdeel en dus mee-ontworpen met de woonkernen. Alles moest daar worden ingeplant en aangelegd. In 1982 was de Pampushout nog een vrijwel leeg gebied. De stellers van het rapport zagen de kans schoon om de Floriade te gebruiken als katalysator om de ontwikkeling van het gebied op gang te brengen.
De westflank van Almere was al in beeld als een gebied met recreatieve potenties. In het rapport Almere’s recreatieve en toeristische potenties in de regio (1975) (download als pdf) werd de suggestie van een open recreatiesportpark ten noordwesten van Almere Haven gedaan. Een eerste concrete uitwerking was een open recreatiesportpark à la Pittelo in Assen (Een open rekreatiepark in de Pampushout (1977), download als pdf). Dit park van 55 hectare, ook wel gezinssportpark genoemd, was gedacht bij de Pampushavenweg nabij de Hogering. Het vertoonde een overlap met een 70 hectare grote boskern. Niet toevallig was dit ook een landschapsontwikkelingszone (zie De Buitenruimte van Almere (1976), download als pdf.

In het personeelsblad van de RIJP, Cultuurrijp juni 1978 (pdf), werd op pagina 16 onder de titel De Pampushout,een park voor de sportieve recreant aandacht besteed aan het begin van de eerste aanplant in dit gebied en aan de beoogde functie, een belangrijke voorziening voor sportieve recreatie in de buitenruimte. Omstreeks 1980 zou een eerste fase klaar kunnen zijn. Voor de RIJP-directie was het kennelijk belangrijk genoeg om hoogst persoonlijk op de plantwagen te klimmen.
In 1982 was het idee nog niet van de grond gekomen. Was het wachten op een specifieke impuls? Rond 1990 zou Almere met de bouw van Muziekwijk naar het westen uitbreiden. Dan zouden ook de A6, spoorlijn en o.a. stations Muziekwijk en Almere Centrum zijn aangelegd. Ook zou de Pampushout deels zijn ingeplant.
In de nota Floriade in Almere (1982) was die groeirichting aanleiding/kans om het groengebied aan de andere kant van de Hogering (SAW 1) aan te pakken, door 'Het realiseren van een regionaal/lokaal parkgebied van betekenis (concentratiepunt voor landrecreatie) in de stedelijke buitenruimte van Almere, met tijdelijke en met permanente voorzieningen.' De keuze voor de locatie voor de Floriade viel op een circa 70 hectare groot gebied tussen Hogering-Botterweg-Pampushavenweg.


In de nota Floriade in Almere (je vindt het document halverwege het gedigitaliseerde dossier) schrijven de auteurs:
'Het tijdelijke Floriade-terrein (50 - 60 ha) zou in het centrum van de Pampushout uiteindelijk een grootschalig beurs- en manifestatieterrein moeten achterlaten. Het is een parkachtig terrein met permanente hoogwaardige (overdekte en niet-overdekte) voorzieningen (multi-functionele hal, nutsruimten, horecavestiging, open buitenruimte), dat direct en kort verbonden is met het centrum van Almere-Stad, waar zich de aanvullende voorzieningen bevinden…' . En voegen daar aan toe; 'Daarnaast maken de openbare toegankelijke en aansluitende bossen (zuiden) en parkgebieden (noorden), die doorsneden worden door uit Almere-Stad komende en de SAW 1 passerende fietsverbindingen, het tentoonstellingsterrein bovendien geschikt voor een gemengde functie van prive (-toegankelijk) en openbaar (open recreatiesportpark).' (Bron Floriade in Almere (1982).
Dit open recreatiesportpark is natuurlijk dat uit Een open rekreatiepark in de Pampushout (1977). De locaties stemmen geheel overeen. Het sportrecreatiepark rondom de Pampushavenweg, de Floriade in de boskern ten zuiden ervan. Maar wat te zeggen van de randvoorwaarde 'dat ten tijde van het Floriade-jaar vooral het noordelijk deel van Pampushouts' centrum-gebied in gebruik zal zijn als (eenvoudig) open recreatiesportpark' ? Hier lijkt de wens de vader van de gedachte te zijn geweest. Het is er in ieder geval nooit (van) gekomen.
Link opent een vergroting van de afbeeldingAfwijzing 1984
Uiteindelijk stelde Almere zich in februari 1984 formeel kandidaat met als thema “Tuinbouw 2000”, om een half jaar later te worden afgewezen. Argument: 'Een zwaarwegend punt voor het welslagen van de Floriade is echter de onmiddellijke nabijheid van een der grotere Nederlandse steden, zowel vanwege het internationale karakter der tentoonstelling als vanwege verkeers-, congres-, logies-, restaurant- en vele andere voorzieningen'. (Bron: Brief Nederlandse Tuinbouwraad d.d. 22 augustus 1984, terug te vinden in het gedigitaliseerde dossier). Almere voldeed daar niet aan.
Het is met een milde glimlach dat ik constateer dat 40 jaar later Almere nog steeds even ver van de grote steden ligt; maar wellicht liggen de grote steden nu dichter bij Almere. Misschien bezat de Floriade organisatie niet de verbeeldingskracht om 10 jaar vooruit te kijken. Immers; Almere was een snel groeiende stad en zou in 1992 duidelijk anders zijn dan in 1982. Hoe het ook zij, na diverse hernieuwde pogingen in de jaren daarna – want ook voor de Floriades van 2002 en 2012 toonde Almere belangstelling – viel de aanvraag voor de Floriade 2022 dan eindelijk positief uit.
2. Milieuvriendelijke landbouw, gezonde voeding en zelfvoorzienendheid in de jaren zeventig
Nu we het toch over de Floriade hebben: zou Almere al eens eerder hebben nagedacht over thema’s waarmee de tentoonstelling 2022 aan de slag is gegaan? Volgens paleocontacttheoretici is dat inderdaad het geval! Milieuvriendelijke landbouw (incl. volkstuin), gezonde voeding en zelfvoorzienendheid, dat zijn thema's die eind jaren zeventig in Almere al benoemd werden.
Milieuvriendelijke landbouw
Men zou het misschien niet verwachten van een grootlandbouwbedrijf (ruim 20.000 ha!), maar al vroeg was de RIJP geïnteresseerd in milieuvriendelijke landbouw. Al in 1973 ontstond het zogenaamde spuitvrije bedrijf NZ 27 van 500 hectare groot. De naam zegt al genoeg.


De kavels lagen tussen de Gooiseweg en de Winkelweg, precies bij de meest oostelijke punt van Almere. Het wel en wee van dit bedrijf is over een lange periode te volgen (via de website van Ministerie Infrastructuur en Waterstaat).
In de jaren daarna verschenen nota’s over alternatieve volkstuinen (download pdf), milieuvriendelijke tuinbouw (download pdf), alternatieve landbouw (download pdf). Die laatste nam als uitgangspunt één van de doelstellingen voor Almere, die al in de nota Almere 1985 (1974) (download als pdf) waren opgenomen (de oerversie van de Almere Principles): 'Almere moet bijdragen tot de in standhouding van een gezond en natuurlijk milieu'. Die doelstelling werd aldus uitgewerkt:
- het experimenteren met het toepassen van milieuvriendelijke landbouwmethoden in de buitenruimte van Almere.
- het scheppen van aanleidingen voor het in contact komen van de bewoners met specifieke agrarische activiteiten.
Overigens kwamen ook andere duurzaamheidsthema’s aan bod, zoals:
- het zoeken naar een zoveel mogelijk toepassen van energiebesparende methoden in de economische productie, de verwarming en de verkeersafwikkeling in Almere.
- het nastreven van een minimaal gebruik van grondstoffen.
- het bevorderen van de toepassing van alternatieve "natuurlijke" energiebronnen, zoals wind, water, zon en lichaamskracht.
Behalve aan de omschrijving van het begrip werd ruim aandacht besteed aan het gangbare voedingspakket vs. alternatief voedingspakket (dierlijke vetten, geraffineerde producten, calorieën, industriële bewerking, additieven). Een van de aanbevelingen was om een voorlichtingscentrum te maken om de ‘producent’ bekend te maken met het telen van onbespoten gewassen, in het bijzonder op nutstuinen.
Gezonde voeding
Alternatieve landbouw is niet per se synoniem aan alternatieve voeding. De eerste gaat met name over het hoe (bewerkings-, bemestings- en bestrijdingsmethoden e.d.). De tweede gaat over het wat (gezonde verantwoorde voedingsmiddelen). Toch gaan die twee in de praktijk veelal samen. Al in de concept-versie (1976) van de nota Milieuvriendelijke landbouw in Almere wordt ruim aandacht aan alternatieve voeding besteed, afgezet tegen gangbare voeding (zie hiervoor).
Bij het Buitenruimte Voorlichtingscentrum De Kemphaan –begonnen in 1978- werd (dan ook) aan beide aspecten (alternatieve methoden en alternatieve voeding) aandacht besteed. 'Naast de zes voorbeeldvolkstuinen ligt er op De Kemphaan een zgn. consumptietuin. Op deze tuin worden op biologische wijze alle produkten geteeld die een hoofd van de bevolking per jaar consumeert indien hij zich voedt volgens een alternatief voedingspatroon. Dit voedingspatroon wordt o.a. gekenmerkt door een zo gering mogelijke dierlijke eiwitbijdrage en een aan de behoefte aangepaste hoeveelheid calorieën. Uitgaande van dit voedingspatroon is een produktieplan voor de diverse gewassen berekend en vertaald in de behoefte aan gangbaar en alternatief bebouwde cultuurgrond'. Bron: Beheersverslag 1978-1979 van Buitenruimte Voorlichtingscentrum De Kemphaan”(1980), download pdf.

Voor de opzet van De Kemphaan was professor Hautvast, hoogleraar Humane Voeding aan de Landbouw Hogeschool Wageningen, om advies gevraagd. Of dat al van bij het begin was is niet duidelijk. Maar in een memo uit 1979, naar aanleiding van een gesprek tussen RIJP en Hautvast, was de conclusie dat de opvatting van Hautvast wat betreft aanbevolen voedingspatroon duidelijk afweek van het toen gangbare ('Minder calorieën, minder dierlijk en meer plantaardig eiwit, dus minder vlees, minder verzadigde en meer onverzadigde vetten, minder suiker en minder zout'). In ieder geval kwam dit overwerp al aan de orde in het eerste beheersverslag van De Kemphaan. (Bron: gespreksmemo RIJP d.d. 27 december 1979).
Hoe het ook zij, de conceptversie van Milieuvriendelijke landbouw in Almere (1976), Beheersverslag Kemphaan 1979-1980 (1980) en het gespreksmemo (1979) reppen in vrijwel dezelfde bewoordingen over alternatieve voeding.
Overigens viel de koers van De Kemphaan niet in zo’n goede aarde bij de RIJP-leiding: dringend in een bepaalde richting (drammerig?); het roer moest omgebogen worden. En Buitenruimtecentrum werd Buitencentrum. Daarentegen was de Kemphaan het decor voor activiteiten van de VARA (het radioprogramma Vroege Vogels) en Teleac.
Zelfvoorzienendheid
Autarkie in een tijd van globalisering? De afhankelijkheid van anderen lijkt alsmaar te groeien. Maar op het vlak van geteelde voedingsmiddelen is het streven naar meer betrokkenheid van stad en ommeland op elkaar al enige tijd in opmars (bijvoorbeeld restaurants die met producten uit de regio werken, zoals Sharon de Miranda, een van de Vormgevers van Almere). De aandacht voor stadslandbouw past hierin naadloos.
In het eerder genoemde memo over een gesprek tussen RIJP en prof. Hautvast uit 1979 zat een toch verrassend onderwerp, een ruw diamantje. Citaat:
'Een gedachte die tijdens het gesprek naar voren kwam was de volgende. Wanneer we uitgaan van een verstandig voedingspatroon, wat is er dan voor nodig om Almere in het jaar 2000 zelfvoorzienend te maken? Welke oppervlakte aan welke gewassen is dan vereist in de Buitenruimte of zonodig in (Zuidelijk) Flevoland? Wat kan daarbij het aandeel zijn van de volkstuinen in Almere? Kan een zelfde soort berekening ook worden opgezet voor Nederland?'.
Op de plankaart van het struktuurplan Almere (1983) is voorzien in agrarische bestemmingen, terwijl Almere ook grenst aan het agrarische landschap van Zuidelijke Flevoland. Voldoende kansen, zou je denken. Maar een verdere uitwerking van de gedachte heb ik niet gevonden. Misschien te idealistisch (bij de RIJP niet altijd positief bedoeld). Het diamantje is nooit geslepen. De tijd was er niet rijp voor, zullen we maar zeggen. Maar bijzonder is het wel.
Wist u dat de eerste notitie van het Projektburo Almere over zonnepanelen al in 1976 werd geschreven?
Theo Lagarde, april 2022


